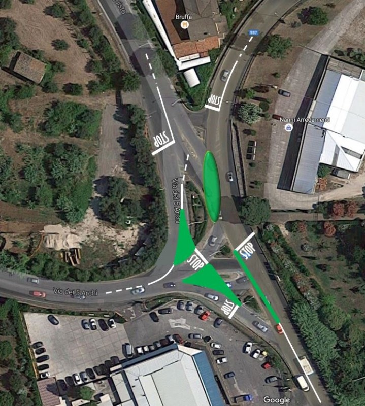
Velletri - Incrocio Appia - 5 Archi

Firma ora
petition image

Alle autorità competenti in materia, si propone modifica della viabilità dell'incrocio in oggetto, e comunque si richiede a chi di dovere di rivedere e modificare l'attuale sistemazione in quanto confusionaria e pericolosa.
Si raccomanda di prendere visione, nel gruppo FB "Miglioriamo Velletri", della singola discussione di cui a questo link diretto:

https://www.facebook.com/groups/miglioriamo.velletri/permalink/10150723734104975/

in cui sarà possibile trovare grafici di massima e considerazioni.
Chiediamo a chiunque sia in grado di supportare e sponsorizzare questa proposta/richiesta di attivarsi per quanto possibile.

Firma la petizione
OPPURE

Se hai già un account accedi, altrimenti registrati gratuitamente e poi firma la petizione compilando i campi qui sotto.
Email e password saranno i tuoi dati di accesso, potrai firmare altre petizioni dopo aver effettuato l’accesso.

Privacy nei motori di ricerca? Puoi usare un nickname:

Attenzione: l’indirizzo email deve essere valido per convalidare la firma, altrimenti verrà eliminata.

Confermo la registrazione e accetto le Condizioni d’uso
Confermo di aver letto la Privacy Policy
Shoutbox
Firma la petizione
OPPURE

Se hai già un account accedi

Confermo la registrazione e accetto le Condizioni d’uso
Confermo di aver letto la Privacy Policy
Obiettivo
2 firme
Obiettivo: 5,000
Ultime firme
9 November 2016
2. Giorgio Loru | Sottoscrivo questa petizione
9 November 2016
1. Fabiano Fava | Sottoscrivo questa petizione
vedi tutte le firme »
Informazioni
In: -
Destinatario della petizione:
Autorità preposte alla viabilità - Velletri
Tag
Nessun tag
Codici di incorporamento
link diretto
link per html
link forum senza titolo
link forum con titolo
728×90
468×60
336×280
125×125